Building Plot For Sale
Land Information
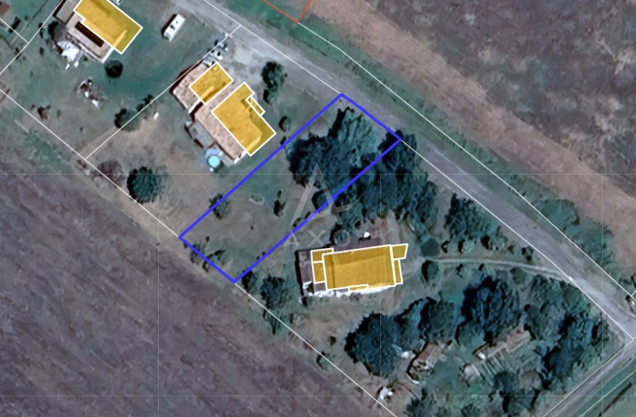
Description
REDUCED in price - Ready to build with planning permission granted! Don't miss this opportunity: a magnificent, flat 935 m² plot in the quiet, family-friendly village of Comberouger, just 12 minutes from Beaumont-de-Lomagne, 16 minutes from Verdun-sur-Garonne, and 20 minutes from Grenade. Primary school, daycare, and childminders are all within easy reach.
Ideal for a peaceful life in the heart of the Tarn-et-Garonne region! Very flexible local planning regulations: single-story or two-story house possible, free choice of builder, maximum height 6 m.
Building permit APPROVED for a beautiful 142 m² single-story house (modifiable to suit your needs).
Complete soil studies: G1 + G2 completed, standard shallow foundations recommended. Not yet serviced, but ready: all utilities (water, electricity, sewage) are available at the edge of the plot for easy and economical connections.
A blank canvas in a quiet residential hamlet.
Building plot available immediately with all technical documents in hand save months on your project.
Apologies for the triangle overlay on the images, this particular agent is in a very competitive sector and wishes to protect their images from being copied. If you want to see clean images of this listing simply Make an Enquiry and we will respond.
The department of Tarn et Garonne in Midi Pyrenees has many assets, a wonderful climate, cultural heritage, an interesting history, unspoilt nature and welcoming local residents.
Tarn et Garonne is composed of 30+ cantons and 190+ towns and villages all dotted around the rural landscape and in the hills that lead up to the Pyrenees mountains, the snow-covered peaks can be seen in the distance when the weather is good. A charming feature of the area are the historical monuments dating back to the Middle Ages: churches, ramparts, castles, abbeys, and bastides.
Set in the heart of the Gascony region, Tarn et Garonne was traditionally a hat-manufacturing area, you can buy them everywhere still and boaters are still made there, particularly in Sept-fonds which is worth a visit.
Climate is warm but pleasant and property prices are less than some neighbouring coastal departments, great 'second home' region due to the barmy summer weather but also a very popular place for retirees.
We at Cle France specialise in Property for sale in France through our network of Agents and French Registered High Street Estate Agents. We have sold thousands of houses for sale in France over the years and have helped many find and buy their dream home in France.
We can also help you with everything to do with buying a house in France including getting a mortgage, organising currency exchange, renovation advice, property surveys, planning permission, French translation, opening a bank account and everything to do with French property sales.
All our prices are quoted as FAI (agency fees included) unless otherwise stated and ’notaire’ fees are around 7% (on average) but feel free to ask us for an exact amount on any particular French property for sale you are interested in.
Indeed please feel free to use the ’MAKE AN ENQUIRY’ tab above to ask us any questions you have about buying a property in France. Our UK based enquiry office and staff will guide you through the entire buying process step by step from your first contact right up to taking ownership and beyond, all free of charge.
So when you buy through Clé France you can be confident that you are paying no more than the standard commission rates you would pay anyway, but you have the added benefit of a bi-lingual support team.
For everything you need to know about French property visit www.clefrance.co.uk
AXL-34232
Property document
